
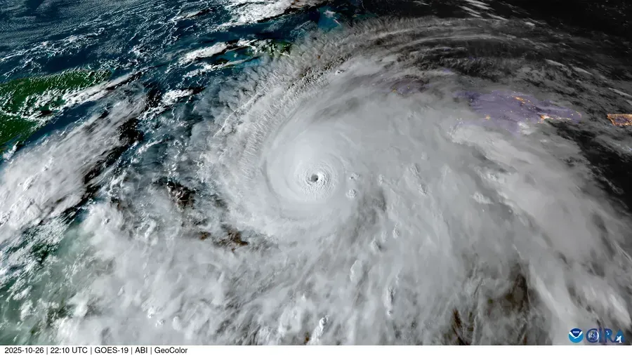
Hurricane Melissa, one of the strongest Atlantic hurricanes ever recorded, has unleashed catastrophic destruction across Jamaica, Haiti, and Cuba. The powerful Category 5 storm, packing winds close to 300 km/h, has left dozens dead, thousands homeless, and entire towns submerged under water.
The trail of devastation has sparked a massive international relief effort as the UN, WFP, and PAHO rush emergency supplies and medical teams to affected regions. As per the World Meteorological Organization (WMO), Hurricane Melissa is now officially listed among the most powerful hurricanes in Atlantic history.
🇭🇹 Haiti: Deadly Floods and Humanitarian Crisis
According to The Times of India, 25 people have died in Haiti as rivers burst their banks and floodwaters swept away homes. Entire neighborhoods in Port-au-Prince and Les Cayes have vanished under torrents of water and mudslides.
AP News reported that Haiti’s fragile infrastructure crumbled under the storm’s fury, leaving thousands without food, clean water, or shelter. The UN and Red Cross have declared a state of emergency, warning that the death toll could rise as rescuers reach isolated communities.
The Pan American Health Organization (PAHO) confirmed that emergency medical supplies have been airlifted to Haiti to prevent outbreaks of cholera and other waterborne diseases.
🇯🇲 Jamaica: Historic Destruction and a National Disaster Declared
Jamaica faced the full brunt of Hurricane Melissa’s wrath. According to Reuters and NPR, the storm made direct landfall near Montego Bay as a Category 5 hurricane, the strongest direct hit to the island in 174 years.
Prime Minister Andrew Holness declared a national disaster, describing the storm as “Jamaica’s darkest hour in modern history.”
Entire coastal resorts and fishing towns have been flattened. Telegraph India and Hindustan Times captured haunting visuals of flooded streets, shattered homes, and uprooted palm trees.
The UN World Food Programme (WFP) said it is coordinating sea-lift operations to deliver food, water, and cash transfers to over 500,000 people affected across Jamaica.
On social media, Amina J. Mohammed, Deputy Secretary-General of the United Nations, expressed solidarity, stating:
“Hurricane Melissa is yet another demonstration of climate science and why we must fight for a world at 1.5ºC.”
🇨🇺 Cuba: Widespread Flooding and Mass Evacuations
After devastating Jamaica, Hurricane Melissa struck Cuba, bringing torrential rain and storm surges that flooded Havana’s coastal districts. According to The Guardian and Al Jazeera, tens of thousands of residents were evacuated as water levels surged beyond historical records.
The Cuban Civil Defense reported major power outages across several provinces. Roads, bridges, and hospitals have been damaged or destroyed, and rescue teams are struggling to reach rural areas.
TODAY.com and Mint noted that Melissa has now moved toward the Bahamas, leaving behind a scene of destruction and despair in Cuba and Haiti.
🌊 Scientific Insight: Why Melissa Became a “Supercharged Monster”
Experts from CNN, Scientific American, and ScienceAlert agree that Hurricane Melissa’s rapid intensification was unprecedented. The storm evolved from a tropical depression to a Category 5 hurricane in less than 48 hours, fueled by:
Exceptionally warm Caribbean waters (over 30°C),
High oceanic heat content, and
Minimal wind shear that allowed the storm to grow vertically.
Meteorologists say Melissa’s behavior reflects climate change-driven trends, where storms are becoming more intense, slower, and wetter.
As WIRED wrote, “Hurricane Melissa has meteorologists terrified — not just by its strength, but by how quickly it became unstoppable.”
🌍 Global Reactions and Relief Efforts
United Nations: Mobilized emergency logistics and food distribution in partnership with WFP and UNICEF.
World Food Programme: Distributing cash assistance and coordinating maritime deliveries of essential aid.
PAHO: Deploying emergency medical teams to Haiti, Jamaica, and Cuba.
USAID: Facing restructuring issues that could slow U.S. disaster relief efforts, as noted by NPR.
Financial Markets: Investors expect Jamaica’s catastrophe bonds to trigger payouts worth hundreds of millions, per Financial Times.
💰 Economic Toll and Future Outlook
According to Moneycontrol, Hurricane Melissa’s estimated damages have reached $8 billion across the Caribbean. Infrastructure, tourism, and agriculture sectors have been hit hardest, and Jamaica’s GDP could see a temporary contraction.
Analysts warn that recovery will take months, if not years. Insurance companies, international donors, and Caribbean nations are now working on long-term resilience strategies to withstand future superstorms.
🛫 Human Stories and Eyewitness Accounts
From stranded tourists to brave rescuers, stories of courage and resilience are emerging.
KALB and Business Insider featured a U.S. family trapped in a Jamaican resort as the storm hit — they described “walls shaking like thunder”.
Sky News reported on “nervous” British tourists recounting their ordeal.
Local residents told PBS that “the sky turned white” and “the sea came roaring into the streets.”
These accounts capture the human dimension of a disaster that statistics alone cannot convey.
🌀 Looking Ahead: From the Caribbean to the North Atlantic
The Met Office (UK) confirmed that remnants of Hurricane Melissa are now moving toward the North Atlantic and could influence UK weather next week — though as a weakened system.
Deputy Chief Meteorologist Tom Crabtree explained that the UK will likely see heavy rains and strong winds, but “nothing comparable to the ferocity seen in the Caribbean.”
❤️ How to Help
Time Magazine and UN News have shared several ways global citizens can contribute:
Donate to UNICEF, WFP, or Red Cross Caribbean Relief Funds.
Support local Caribbean NGOs providing shelter and food.
Raise awareness about climate resilience and sustainable rebuilding.
As Chad de Guzman of Time Magazine writes, “Every dollar counts in rebuilding homes, schools, and hope.”
⚠️ Conclusion: A Wake-Up Call from Nature
Hurricane Melissa has become a symbol of the climate era — a powerful reminder that the Caribbean remains on the frontlines of a warming planet. With record-breaking winds, historic flooding, and massive humanitarian needs, Melissa’s aftermath underscores the urgency of global climate action and disaster preparedness.
As survivors rebuild, the world must not look away — because Hurricane Melissa is not just a Caribbean tragedy; it is a climate warning for all humanity.
Get your brand featured with a world-class press release, published across all our high-authority websites — complete with powerful do-follow backlinks. Crafted to meet global press release standards, our service ensures maximum credibility, visibility, and SEO impact. Special pricing and exclusive offers are available for a limited time. Contact us today at sunil@justbaazaar.com to elevate your brand’s presence."
Created with © systeme.io